family CERAMBYCIDAE Latreille, 1802
subfamily LEPTURINAE Latereille, 1802
tribe Lepturini Latreille, 1802
genus Stenurella Villiers, 1974
Stenurella bifasciata (F. Müller, 1776)
subgenus Priscostenurella Özdikmen, 2013
Stenurella bifasciata bifasciata (F. Müller, 1776)









Stenurella bifasciata nigrosuturalis (Reitter, 1895)




Velikost 6-12 mm.
Bionomie. Není dobře známa. Vývoj larev probíhá v hnijícím i pevném dřevě v přízemní části. V tomto dřevě se údajně také kuklí. - Imága se vyskytují v VI. – IX., maximum v VI. – VII. na různých květech.
Živné rostliny - Čerepanov (1979) uvádí vývoj v Pinus, larvy vychoval též v Betula a Abies. Udává se také Spartium, Ficus, Rosa.
Variabilita. Obvyklé černé zbarvení krovek u samiček může být redukováno, až zcela chybí. Stejně tak černý konec krovek u samců.
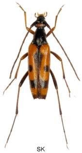
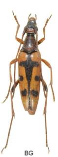
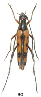
Stenurella septempunctata (Fabricius, 1792)
subgenus Priscostenurella Özdikmen, 2013
Stenurella septempunctata septempunctata (Fabricius, 1792)










Stenurella septempunctata latenigra (Pic, 1915)

Velikost 8-12 mm.
Bionomie. Larvy ve spadlých shnilých větvích, vývoj nejméně dvouletý. - Imaga se vyskytují od VI. do VIII., maximum výskytu je v VI. do počátku VII. na různých květech.
Živné rostliny - Corylus, Carpinus.
Variabilita. Velmi variabilní druh. Štít může být žlutočervený až černý. Černé skvrny na krovkách mohou být až zcela redukovány, nebo se různě rozšiřují a spojují.
Stenurella melanura (Linnaeus, 1758)
subgenus Stenurella Villiers, 1974


Dříve jsem uváděl jako Stenurella sennii Sama, 2002, nyní synonymum od Stenurella melanura (Linnaeus, 1758)


(Syn. Stenurella sennii Sama, 2002. Tento druh byl popsán z Francie podle odlišného chloupkování. Byl zjištěn v celé řadě států a byl uváděn kromě Sibiře (Danilevsky, 2014) zřejmě v celém areálu výskytu Stenurella melanura (Linnaeus, 1758). Podle Danilevského se jedná o synonymum. Názory entomologů na tento druh se od počátku různily.
Velikost 6-11 mm.
Bionomie. Vychoval jsem imaga z odumřelého dřeva nadzemní části kmínku (do 1 m) o průměru 6 cm, cca 3–4 roky po jeho úhynu. Mehl (1989) zjistil několikrát převážně dvouletý vývoj ve velmi vlhkém odumírajícím dřevě. Podle Šváchy (1988) larvy žijí v mrtvém hnijícím a vlhkém dřevě obvykle menšího průměru, které je částečně uloženo v půdě, dále ve spadlých větvích, mělce uložených kořenech apod. Kuklí se ve dřevě. Vývoj larev dvouletý. - Imaga se vyskytují od konce V. do IX., maximum v VI. – VII. především na různých květech.
Živné rostliny - Quercus; Salix, Crataegus, Picea, Pinus, Juniperus; Abies, Pinus; Acer, Fagus, Cytisus.
Stenurella nigra Linnaeus, 1758
subgenus Nigrostenurella Özdikmen, 2013

Bionomie. Vávra vychoval tento druh ze suchého kmínku Frangula. Švácha uvádí, že larvy žijí ve vysoce prohnilém, obvykle relativně suchém dřevě, v suchých větvích, tenkých kmíncích atd., neležících na zemi (protože ty jsou pravděpodobně příliš vlhké). Larvy se kuklí ve dřevě. Vývoj je nejméně dvouletý. - Imaga se vyskytují v V. – VIII., maximum výskytu je VI. – VII., na různých květech.
Živné rostliny – Frangula, Quercus, Carpinus, Ulmus, Corylus, Betula.